Bursa'da iptal edilen imar kararları hakkında yeni gelişme!
Bursa'da iptal edilen imar kararları hakkında yeni gelişme!
Bursa Osmangazi Belediyesi, bir mahkeme kararına istinaden yapılan geri dönüşüm ve yeniden şuyulandırma hakkında duyuru yayımladı.
Haber Giriş Tarihi: 03.12.2025 13:12
Haber Güncellenme Tarihi: 03.12.2025 13:17
Kaynak:
Tulga Aykaç
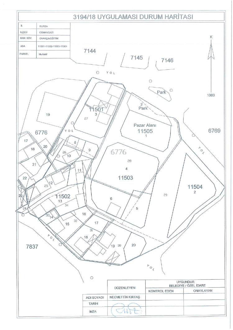
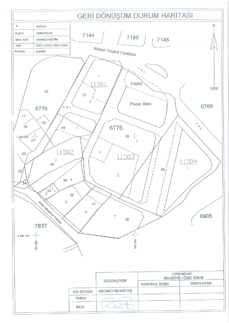
Belediyeden yapılan açıklamada, "Ovaakça Eğitim Mahallesinde daha önce Belediye Encümeni’nin 30.09.2014 tarih 3014 sayılı kararıyla onaylanarak tescil edilmiş imar uygulaması sınırlarındaki taşınmazlarda (Ovaakça Eğitim Mahallesi 11501 ada 1-2 parseller, 11502 ada 1- 2- 3- 4- 5- 6- 7 parseller, 11503 1- 2- 3 parseller, 11504 ada 1 parselde) şuyulandırmadan önceki kadastro parsellerine geri dönüşümü ve bu geri dönüşüm harita ve hesap cetvelleri üzerinden hazırlanan yeni düzenleme harita ve hesap cetvelleri, belediyemiz encümeninin 21.10.2025 tarih 2456 sayılı kararıyla onaylanmıştır. Söz konusu uygulama 01.12.2025 tarihinden itibaren 1 ay süre ile Osmangazi Belediyesi askı ilan panosu, belediyemiz internet sitesi (www.osmangazi.bel.tr) ve Parselasyon İzleme ve Takip Sistemi web adresinde (https://parsid.bulutkbs.gov.tr/ParselasyonBasvuru/#/) askı ilanına çıkarılmıştır. Parsel maliklerine veya mirasçılarına ilanen tebliğ olunur." ifadeleri kullanıldı.
Sizlere daha iyi hizmet sunabilmek adına sitemizde çerez konumlandırmaktayız. Kişisel verileriniz, KVKK ve GDPR
kapsamında toplanıp işlenir. Sitemizi kullanarak, çerezleri kullanmamızı kabul etmiş olacaksınız.
En son gelişmelerden anında haberdar olmak için 'İZİN VER' butonuna tıklayınız.
Bursa'da iptal edilen imar kararları hakkında yeni gelişme!
Bursa Osmangazi Belediyesi, bir mahkeme kararına istinaden yapılan geri dönüşüm ve yeniden şuyulandırma hakkında duyuru yayımladı.
Belediyeden yapılan açıklamada, "Ovaakça Eğitim Mahallesinde daha önce Belediye Encümeni’nin 30.09.2014 tarih 3014 sayılı kararıyla onaylanarak tescil edilmiş imar uygulaması sınırlarındaki taşınmazlarda (Ovaakça Eğitim Mahallesi 11501 ada 1-2 parseller, 11502 ada 1- 2- 3- 4- 5- 6- 7 parseller, 11503 1- 2- 3 parseller, 11504 ada 1 parselde) şuyulandırmadan önceki kadastro parsellerine geri dönüşümü ve bu geri dönüşüm harita ve hesap cetvelleri üzerinden hazırlanan yeni düzenleme harita ve hesap cetvelleri, belediyemiz encümeninin 21.10.2025 tarih 2456 sayılı kararıyla onaylanmıştır. Söz konusu uygulama 01.12.2025 tarihinden itibaren 1 ay süre ile Osmangazi Belediyesi askı ilan panosu, belediyemiz internet sitesi (www.osmangazi.bel.tr) ve Parselasyon İzleme ve Takip Sistemi web adresinde (https://parsid.bulutkbs.gov.tr/ParselasyonBasvuru/#/) askı ilanına çıkarılmıştır. Parsel maliklerine veya mirasçılarına ilanen tebliğ olunur." ifadeleri kullanıldı.

Kaynak: Tulga Aykaç
GÜNÜN EN ÇOK OKUNAN HABERLERİ
BAKMADAN GEÇME...
POPÜLER VİDEOLAR