Bursa'da tarım arazileri hakkında imar kararı! Parsel parsel ilan edildi
Bursa'da tarım arazileri hakkında imar kararı! Parsel parsel ilan edildi
Bursa'nın Mudanya ilçesine bağlı Çağrışan köyünde çok sayıda tarla ile arsa hakkında alınan imar kararları askıya çıkartıldı.
Haber Giriş Tarihi: 11.12.2025 11:17
Haber Güncellenme Tarihi: 11.12.2025 11:27
Kaynak:
Haber Merkezi
Bursa'da imar haberlerine bir yenisi daha eklendi.
Mudanya Belediyesi, Çağrışan mahallesi için alınan imar kararını askıya çıkarttı.
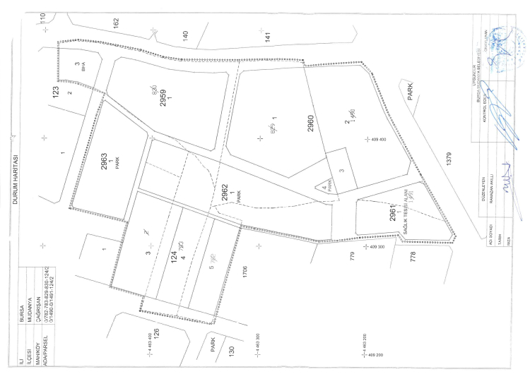
Yapılan açıklamada, "Belediyemiz Encümeninin 15.10.2025 tarih ve 2025/1425 sayılı kararı ile onaylanan Mudanya İlçesi, Çağrışan Mahallesi, 782, 783, 829, 830, 1490, 1491 parseller ile 124 ada 2 parsel sayılı taşınmazları kapsayan alanda 3194 sayılı İmar Kanununun 18. maddesi uygulaması 12.12.2025 tarihinden itibaren Plan ve Proje Müdürlüğü ile belediyemiz internet sitesinde 1 (bir) ay süre ile askıya çıkarılmıştır." ifadeleri kullanıldı.
Tapu sistemine göre; 782, 783, 829 ve 830 numaralı parseller tarım arazisi, 1490 ve 1491 parsel ile 124 ada 2 parseldeki taşınmazlar ise arsa.
İşte söz konusu parseller ve dağıtım cetvelleri...
Sizlere daha iyi hizmet sunabilmek adına sitemizde çerez konumlandırmaktayız. Kişisel verileriniz, KVKK ve GDPR
kapsamında toplanıp işlenir. Sitemizi kullanarak, çerezleri kullanmamızı kabul etmiş olacaksınız.
En son gelişmelerden anında haberdar olmak için 'İZİN VER' butonuna tıklayınız.
Bursa'da tarım arazileri hakkında imar kararı! Parsel parsel ilan edildi
Bursa'nın Mudanya ilçesine bağlı Çağrışan köyünde çok sayıda tarla ile arsa hakkında alınan imar kararları askıya çıkartıldı.
Bursa'da imar haberlerine bir yenisi daha eklendi.
Mudanya Belediyesi, Çağrışan mahallesi için alınan imar kararını askıya çıkarttı.
Yapılan açıklamada, "Belediyemiz Encümeninin 15.10.2025 tarih ve 2025/1425 sayılı kararı ile onaylanan Mudanya İlçesi, Çağrışan Mahallesi, 782, 783, 829, 830, 1490, 1491 parseller ile 124 ada 2 parsel sayılı taşınmazları kapsayan alanda 3194 sayılı İmar Kanununun 18. maddesi uygulaması 12.12.2025 tarihinden itibaren Plan ve Proje Müdürlüğü ile belediyemiz internet sitesinde 1 (bir) ay süre ile askıya çıkarılmıştır." ifadeleri kullanıldı.
Tapu sistemine göre; 782, 783, 829 ve 830 numaralı parseller tarım arazisi, 1490 ve 1491 parsel ile 124 ada 2 parseldeki taşınmazlar ise arsa.
İşte söz konusu parseller ve dağıtım cetvelleri...
Kaynak: Haber Merkezi
GÜNÜN EN ÇOK OKUNAN HABERLERİ
BAKMADAN GEÇME...
POPÜLER VİDEOLAR