Bursa İznik Gölü'nün yanındaki zeytinlikler sit alanı ilan edildi!
Bursa İznik Gölü'nün yanındaki zeytinlikler sit alanı ilan edildi!
Bursa'nın incisi İznik Gölü'nün yanı başındaki çok sayıda zeytinlik arkeolojik sit alanı ilan edildi. İşte ayrıntılar...
Haber Giriş Tarihi: 10.12.2024 11:40
Haber Güncellenme Tarihi: 10.12.2024 11:59
Muhabir:
Coşkun Saitoğlu
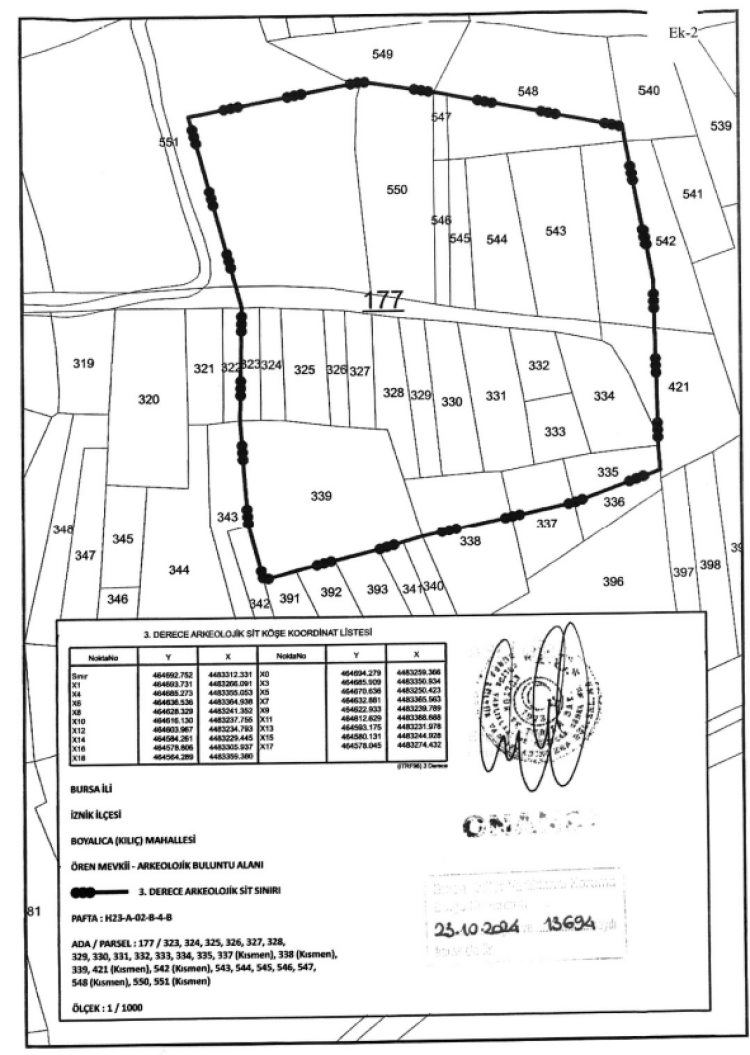
Bursa Kültür Varlıklarını Koruma Bölge Kurulu önemli bir karara imza attı.
İznik'in Boyalıca mahallesindeki mevcut sit alanları dışında kalan bazı noktalarda Koruma Bölge Kurulu Müdürlüğü uzmanları tarafından incelemeler yapıldı.
Söz konusu incelemeler hakkında kurumların da görüşlerinin yer aldığı rapor hakkında yapılan görüşmede, çok sayıda parselin 2. ve 3. Derece Arkeolojik Sit Alanı olarak tescillenmesine karar verildi.
23 Kasım günü alınan kararın 3 yıl süre ile geçerli olduğu bildirildi.
GÖLÜN YANI BAŞINDA BULUNUYOR
Sit alanı ilan edilen parsellerin çoğunun zeytinlik olduğu öğrenildi.
İznik Gölü'ne 150 metre mesafe bulunan taşınmazların yaklaşık büyüklüğü ise 22 bin metrekareyi aşıyor.
Sizlere daha iyi hizmet sunabilmek adına sitemizde çerez konumlandırmaktayız. Kişisel verileriniz, KVKK ve GDPR
kapsamında toplanıp işlenir. Sitemizi kullanarak, çerezleri kullanmamızı kabul etmiş olacaksınız.
En son gelişmelerden anında haberdar olmak için 'İZİN VER' butonuna tıklayınız.
Bursa İznik Gölü'nün yanındaki zeytinlikler sit alanı ilan edildi!
Bursa'nın incisi İznik Gölü'nün yanı başındaki çok sayıda zeytinlik arkeolojik sit alanı ilan edildi. İşte ayrıntılar...
Bursa Kültür Varlıklarını Koruma Bölge Kurulu önemli bir karara imza attı.
İznik'in Boyalıca mahallesindeki mevcut sit alanları dışında kalan bazı noktalarda Koruma Bölge Kurulu Müdürlüğü uzmanları tarafından incelemeler yapıldı.
Söz konusu incelemeler hakkında kurumların da görüşlerinin yer aldığı rapor hakkında yapılan görüşmede, çok sayıda parselin 2. ve 3. Derece Arkeolojik Sit Alanı olarak tescillenmesine karar verildi.
23 Kasım günü alınan kararın 3 yıl süre ile geçerli olduğu bildirildi.
GÖLÜN YANI BAŞINDA BULUNUYOR
Sit alanı ilan edilen parsellerin çoğunun zeytinlik olduğu öğrenildi.
İznik Gölü'ne 150 metre mesafe bulunan taşınmazların yaklaşık büyüklüğü ise 22 bin metrekareyi aşıyor.
İşte sit alanı ilan edilen o yerler...
Kaynak: Coşkun Saitoğlu
GÜNÜN EN ÇOK OKUNAN HABERLERİ
BAKMADAN GEÇME...
POPÜLER VİDEOLAR