Bursa'daki o mahalleye imar şoku! Yıllar sonra öğrendiler
Bursa'daki o mahalleye imar şoku! Yıllar sonra öğrendiler
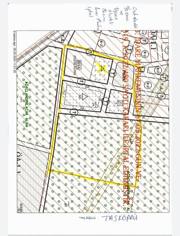
Bursa'nın Panayır mahallesi hakkında çıkarılan imar planlarının yıllar önce iptal edildiği ortaya çıktı.
Haber Giriş Tarihi: 27.07.2024 18:39
Haber Güncellenme Tarihi: 27.07.2024 18:39
Kaynak:
İsmail Karaduman
31 Mart Mahalli İdareler Genel Seçimleri'nde Osmangazi ilçesine bağlı Panayır Mahallesi'nde muhtarlık seçimlerini Dursun Kara, dikkat çeken bir imar açıklamasına imza attı.
2 YIL ÖNCE İPTAL EDİLMİŞ
Kara, mahallenin Taşköprü bölgesi için çıkarılan imar planlarının 17 Mayıs 2022 yılında iptal edildiğini öğrendiklerini duyurdu.
İptal kararını yıllar sonra duyan vatandaşlar şaşkına dönerken Büyükşehir ve Osmangazi Belediyesi İmar Komisyonu Başkanı Recep Çohan, muhtarın talebi üzerine mahalle sakinlerini bilgilendirdi.
"TEKRAR ÇALIŞMALARA BAŞLAYACAĞIZ"
İptal edilen imar planlarının tekrar onaylanması için çalışacağını ifade eden muhtar Kara, "Daha önceden ben ve vatandaşların çoğu bu bölgede imar olduğunu biliyorduk.Sonrasinda araştırdığımızda 2022 yılında mahkeme kararı ile iptal olduğunu öğrendik. Biz de İmar komisyonu başkanı ile vatandaşlarımıza bilgi verdik. İmar komisyonu başkanı ile tekrardan çalışmalara başlayacağız" ifadelerini kullandı.
Sizlere daha iyi hizmet sunabilmek adına sitemizde çerez konumlandırmaktayız. Kişisel verileriniz, KVKK ve GDPR
kapsamında toplanıp işlenir. Sitemizi kullanarak, çerezleri kullanmamızı kabul etmiş olacaksınız.
En son gelişmelerden anında haberdar olmak için 'İZİN VER' butonuna tıklayınız.
Bursa'daki o mahalleye imar şoku! Yıllar sonra öğrendiler
Bursa'nın Panayır mahallesi hakkında çıkarılan imar planlarının yıllar önce iptal edildiği ortaya çıktı.
31 Mart Mahalli İdareler Genel Seçimleri'nde Osmangazi ilçesine bağlı Panayır Mahallesi'nde muhtarlık seçimlerini Dursun Kara, dikkat çeken bir imar açıklamasına imza attı.
2 YIL ÖNCE İPTAL EDİLMİŞ
Kara, mahallenin Taşköprü bölgesi için çıkarılan imar planlarının 17 Mayıs 2022 yılında iptal edildiğini öğrendiklerini duyurdu.
İptal kararını yıllar sonra duyan vatandaşlar şaşkına dönerken Büyükşehir ve Osmangazi Belediyesi İmar Komisyonu Başkanı Recep Çohan, muhtarın talebi üzerine mahalle sakinlerini bilgilendirdi.
"TEKRAR ÇALIŞMALARA BAŞLAYACAĞIZ"
İptal edilen imar planlarının tekrar onaylanması için çalışacağını ifade eden muhtar Kara, "Daha önceden ben ve vatandaşların çoğu bu bölgede imar olduğunu biliyorduk.Sonrasinda araştırdığımızda 2022 yılında mahkeme kararı ile iptal olduğunu öğrendik. Biz de İmar komisyonu başkanı ile vatandaşlarımıza bilgi verdik. İmar komisyonu başkanı ile tekrardan çalışmalara başlayacağız" ifadelerini kullandı.
Kaynak: İsmail Karaduman
GÜNÜN EN ÇOK OKUNAN HABERLERİ
BAKMADAN GEÇME...
POPÜLER VİDEOLAR